Działki na sprzedaż

Działka (Mieszkaniowa) na sprzedaż
745 000,00 PLN , Pow. 8 890 m2
Drukuj ofertę
Drukuj ofertę
Typ nieruchomości:
Działka
Powierzchnia:
8 890 m2
Typ transakcji:
sprzedaż
Lokalizacja:
Ossów , Generała Jordan-Rozwadowskiego
Numer oferty:
185500
Cena za m2:
83,80 PLN
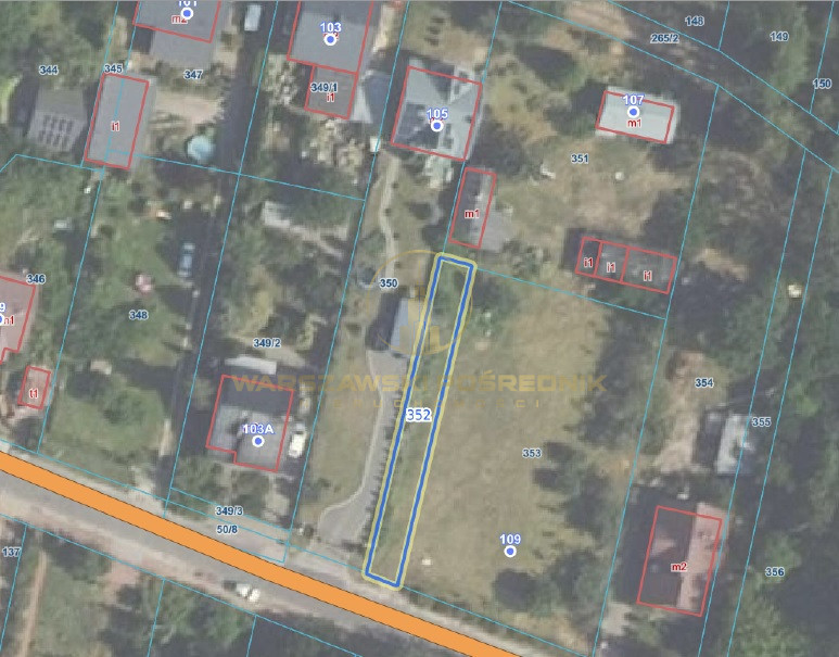
Oferuję na sprzedaż 4 działki o łącznej powierzchni 0,8890 ha.

Działka 1: budowlana, zabudowana (dom + stodoła + budynki gospodarcze - przeznaczone do wyburzenia).
Nr działki: 351, powierzchnia: 0,1077 ha
W ewidencji gruntów oznaczona jako B (teren mieszkaniowy)

Działka 2: stanowi drogę dojazdową do działki nr 351.
Nr działki 352, powierzchnia: 0,0175 ha
W ewidencji gruntów oznaczona jako Br-RV ( grunt rolny zabudowany)

Działka 3 i 4, są to działki zalesione.
Nr działek: 148 i 212, powierzchnia 0,6086 ha i 0,1552 ha (łączna powierzchnia 0,7638 ha.
 
Najważniejsze informacje:
Działki mają jedną KW, chcemy sprzedać całość, bez potrzeby wydzielania.
Działka nr 351 jest położona bezpośrednio przy drodze asfaltowej gminnej. 
Media: woda, gaz, prąd.

Planowanie i przeznaczenie:

Obecnie brak MPZP
Oznaczenie strefy na podstawie stadium uwarunkowań MN1 - mieszkaniowe jednorodzinne i zagrodowe. 

Otoczenie:

Zabudowa mieszkaniowa jednorodzinna wolnostojąca oraz zabudowa zagrodowa, uzupełniona kompleksami leśnymi. W dalszym sąsiedztwie występuje również zabudowa szeregowa i bliźniacza.

Lokalizacja i dojazd:

Do Wołomina ok.5km, gdzie znajduje się min. Urząd Miejski, Placówka Poczty
Do Kobyłki ok.1,5 km, gdzie znajduje się szkoła i przedszkole
W bliskiej okolicy znajduje się równię Rezerwat Przyrody Grabicz

Po więcej informacji zapraszam do kontaktu.

*Za swoją pracę biuro pobiera wynagrodzenie

Pomimo, iż Doradcy z Firmy Warszawski Pośrednik Nieruchomości Sp. z o.o. starają się uzyskiwać rzetelne informacje na temat oferowanych nieruchomości i przykładają do tego szczególną wagę, nie zawsze jednak są w stanie zweryfikować wszystkie otrzymane od osób trzecich informacje.
W związku z powyższym prezentacja oferty nie jest ofertą w rozumieniu Kodeksu Cywilnego i ma charakter wyłącznie informacyjny.
Nieprawidłowy adres E-mail